Płocie z jeziora Ińsko
Jak wspominałem już przy okoniach z jeziora Ińsko łowienie na wielkich stojących zbiornikach to nie moja bajka. Bez wcześniejszych doświadczeń, bez znajomości dna, głębokosci ciężko tak z marszu coś wymyślić i zacząć łowić. Dlatego zacząłem od spinningu. Szukanie okoni wydało mi się łatwiejsze. Nie oznacza to, że w trakcie spinningowania nie poznawałem zbiornika. Uważnie przyglądałem się temu co pode mną, linii brzegowej czy wędkarzom.
Podczas jednej z wypraw kajakowych trafiłem na stary uszkodzony pomost. Wejście rozwalone ale dla odważnych możliwe do przebycia. Pomost chwiejny, ławka przewrócona. Czyli to czego mi potrzeba. Tu nikt mnie nie powinien niepokoić a skoro stoi pomost to ktoś go musiał postawić w konkretnym celu i konkretnym miejscu.
W międzyczasie robiłem rozpoznanie gatunków na jeziorze. Pływając kajakiem oprócz całej masy małych okonków, wzdręg i ładnych płoci widziałem też niewielkie liny. Niestety informacje od wędkarzy nie napawały optymizmem. Według nich jezioro wyczyścił z ryb rybak a to znana nam wszystkim tragiczna historia, która dotknęła większość wód w Polsce łącznie z morzem.
Stwierdziłem, że nastawię się na płocie z gruntu, może wpadnie w postaci bonusa wpadnie lin. W celu zanęcenia zaopatrzyłem się w kilkanaście puszek kukurydzy konserwowej i kilka opakowań zanęty. Jako, że woda w jeziorze przejrzysta a dno ciemne wybór padł na Marcela Van Den Eynde Secret Black-Roach.
Rozrobioną zanętę ukradkiem wywoziłem wieczorami kajakiem w upatrzone miejsce. Po trzech dniach takiego nęcenia zdecydowałem się wreszcie na pierwsze połowy gruntowe na tym jeziorze.
Na początek dałem zestawy, które sprawdziły się na leszczach ze starorzeczy. Zmniejszyłem tylko haki na nr 12
Zestaw 1
MVDE-R Nano Core Method Feeder TX2 330cm
Kołowrotek Robinson FD Method Crank
Plecionka Phantom Green Spin 0,12mm
Koszyczek Robinson ECO 15g
Haczyk Robinson Titanium Tango 130G nr 12
Zestaw 2
Robinson Red Star Picker 300cm c/w up 15g
Kołowrotek FD Acustik Feeder
Żyłka VDE- Robinson Team Pro Feeder 0,2
Koszyczek Robinson ECO 25g
Haczyk Robinson Titanium Tango 130G nr 12
Na haki kukurydza i czekamy na pierwsze brania. Niestety długo nie mogłem się doczekać się pierwszych brań. Po kilku godzinach jak już słońce było wysoko na niebie zaczęły pojawiać się pierwsze brania. Zawsze tuż po zarzuceniu. Kilka skubnięć zanim zestaw nie ułoży się na dnie a potem cisza. Stwierdziłem, że skoro brania są w trakcie opadu przynęty to ryby żerują w toni.
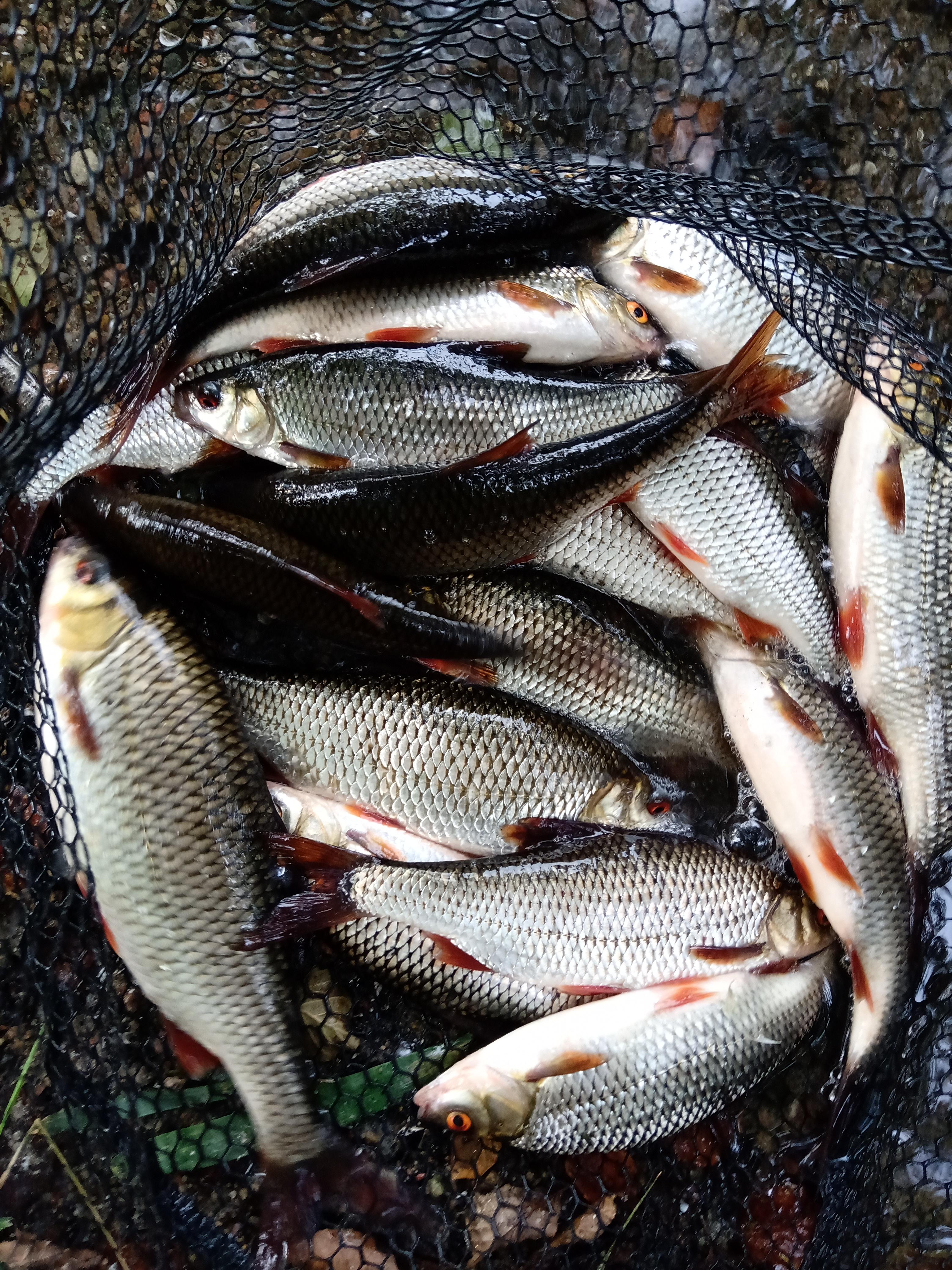
Niestety nie miałem ze sobą kijów spławikowych więc postanowiłem przerobić swoje gruntówki na spławik. Do method feedera TX zamontowałem wagglera o wyporności 7g wraz z obciążeniem własnym 4g. Na hak kukurydza i do wody przy trzcinach. Zabrałem się za montowanie drugiego zestawu kiedy zauważyłem, że spławik znika pod wodą. Zaciąłem i wyholowałem płoć 27cm. Piękna, bez żadnych braków w łuskach, bez czarnych plamek które często spotykam na Wiśle, tłuściutka.
Zarzuciłem w to samo miejsce tym razem spławik niemal od razu znika pod wodą. Kolejna płoć równie piękna ale tym razem 26cm. Zrozumiałem, że druga wędka nie będzie potrzebna.
Na brania nie czekałem długo, właściwie to nawet nie miałem czasu odłożyć wędki. Taka zabawa trwała około półtorej godziny aż brania zaczęły robić się coraz rzadsze. Wcale mnie to nie dziwiło. Płocie były bardzo waleczne i robiły sporo hałasu a w końcu złowiłem ich kilkadziesiąt.
Piękne tłuściutkie płocie nawet 30 centymetrowe wynagrodziły mi brak linów i brak brań z samego rana.
Następnego dnia od samego rana zacząłem od jednej spławikówki. Tak jak poprzedniego dnia nie musiałem rozkładać drugiej. Piękne płocie bały jedna po drugiej. Przyznam szczerze, że nawet zaczęło mnie lekko nudzić łowienie dziesiątek 25-30cm płoci.
Zacząłem trochę zwiększać grunt. Tak aby zestaw leżał na dnie. Z gruntu też były brania. Nieco inne ale równie agresywne. Wyczekiwałem lina ale na powierzchni pojawia się piękna wzdręga. Wzdręgi żerowały pod płotkami a dorównywały im wielkością.
Kolejne dni to kolejne piękne płocie. W życiu się tak nie nałowiłem płoci, aż do bólu ręki. Jeśli ktoś chce się z nimi mierzyć to polecam Jezioro Ińsko.





Twój post został podbity głosem @sp-group-up oraz głosami osób podpiętych pod nasz "TRIAL" o łącznej mocy ~0.17$. Zasady otrzymywania głosu z triala @sp-group-up znajdziesz w ostatnim raporcie tygodniowym z działalności @sp-group, w zakładce PROJEKTY.
@michalx2008x
Chcesz nas bliżej poznać? Porozmawiać? A może chcesz do nas dołączyć? Zapraszamy na nasz czat: https://discord.gg/rcvWrAD