Eine Weltumseglung wird zur Rettungsmission
Die Launen der Natur
Unsere Geschichte begann eigentlich schon lange bevor STEEM überhaupt ein Thema war. Es ist eine sehr vielfältige und teilweise vielleicht auch etwas verrückte Geschichte. Meine Erzählung beginnt als wir vor einigen Jahren nach einem gescheiterten Versuch den Atlantik zu überqueren in der Dominikanischen Republik gestrandet waren und unsere Bamba Maru nach langwierigen Reparaturen gerade wieder Seeklar geworden war.
Joanna und ich konnten es kaum erwarten die dreckige Werft und das muffelnde Hafenwasser hinter uns zu lassen und endlich wieder in See zu stechen. Culebra bei Puerto Rico war das ersehnte Ziel. Es war jedoch noch mitten in der Hurrikan Saison und die Wetterlage liess ein schnelles weiter ziehen nicht zu. Wir mussten in Deckung bleiben. So widerlich der Hafen selbst auch sein mag, bei einem Hurrikan ist er dennoch einer der sichersten Orte in der Gegend. Zu jener Zeit zog der tropische Sturm Matthew ganz weit unten im Süden aus dem Atlantik in das Karibische Meer.
Luperon
Es deutete nichts auf irgendeine Gefahr für uns hin. Die Wettermodelle gingen alle davon aus dass der Sturm weiter nach Westen ziehen wird und nicht in unsere Nähe kommt. Wir lernten schnell dass sich Wetterprognosen bezüglich tropischer Stürme inert eines Wimpernschlages ändern können. Matthew hatte nicht nur an Stärke gewonnen und war nun ein Hurrikan, er schaffte es in weniger als 48 Stunden bis zur Kategorie 5, die höchste Stufe der Saffir-Simpson-Scala. Das eigentliche Problem war jedoch, dass dieser Monster Hurrikan Matthew auch noch den Kurs geändert hatte. Er machte praktisch eine 90 Grad Drehung nach Norden und kam nun genau auf uns zu.
Im Fadenkreuz des Hurrikans
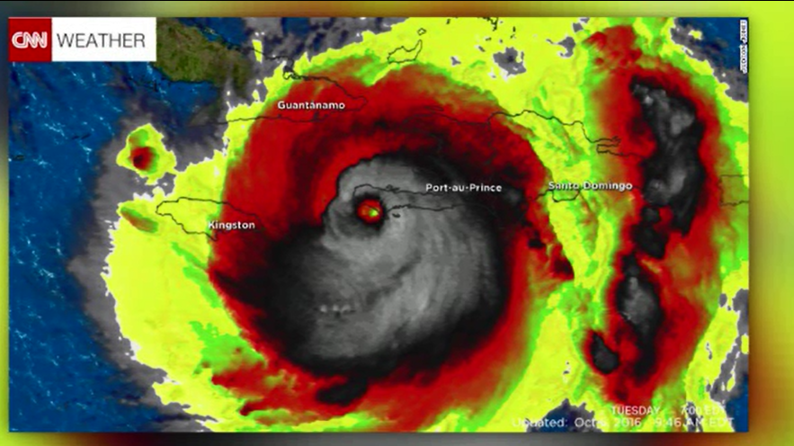
Jetzt wurde es auch bei uns etwas hektisch und jeder Segler verfolgte den Wetterbericht nun stündlich. Es war nicht klar ob die Dominikanische Republik, Haiti, Kuba oder Jamaica getroffen wird. Sicher war nur – egal wo dieses Monster Landfall macht, es würde die totale Zerstörung geben. Die Frage war überall dieselbe. Should I stay or should I go? Es war immer noch möglich zu fliehen. Wir entschieden uns jedoch zu bleiben und das Boot in die Mangroven zu vertäuen. Matthew landete im Süden Haitis in der Provinz Les Cayes und den umliegenden Inseln. In der Nacht begann Matthew gnadenlos zu wüten und machte alles dem Erdboden gleich. Das Infrarot-Satellitenbild des nationalen Wetterdienstes zeigte buchstäblich einen Totenkopf über Haiti. Langsam bewegte er sich weiter nordwestlich über die westlichen Halbinseln von Hispaniola.
Das Zentrum zog dabei nur etwa 160 Seemeilen von uns entfernt durch. Unser Hafen bot tatsächlich ausreichend Schutz. Niemand kam zu Schaden und auch die Yachten blieben alle unversehrt… Nicht so in Haiti. Erste Meldungen rechneten bereits mit mehreren hundert Toten und die Katastrophe nahm gerade erst ihren Lauf. Wasserspeicher waren verseucht, Ackerland kontaminiert und alles Früchtetragende war bis auf ein paar Stümpfe abgeholzt. Ein Cholera-Ausbruch war nur noch eine Frage der Zeit und die wenigen Nahrungsmittel Reserven die vorher schon nie reichten waren nun weitgehend zerstört.
Planänderung
Die internationale Hilfe lief damals nur sehr schleppend an. Wir konnten uns vorstellen wie groß das Leiden auf der anderen Seite des Berges sein musste. Glücklich selbst nicht getroffen worden zu sein, waren wir dennoch traurig über die hoffnungslose Lage der Menschen in Haiti. An eine Weiterreise nach Culebra war nun gar nicht mehr zu denken. Wir überlegten ob wir es nicht hinkriegen würden eine Notversorgung für die Menschen in Küstennähe zu organisieren indem wir im Konvoy nach Süd Haiti segeln und möglichst viele Yachten mit Meerwasserentsalzungsanlagen an Bord vor Ort als Brückenlösung zu positionieren bis wieder sauberes Trinkwasser verfügbar sein würde.
Der Plan erhielt zunächst grossen Zuspruch und es schien als würden sich etliche Boote beteiligen. Leider sprangen dann doch einer nach dem anderen ab und so segelten wir am Ende alleine Richtung Haiti. Wir hatten einen Medizin Studenten an Bord der vor Ort helfen wollte und das Schiff bis zur Belastungsgrenze mit Hilfsgütern voll geladen welche von Unterstützern unseres Projektes gesammelt wurden. Die Tandemeer, ein weiteres privates Segelboot beladen mit Hilfsgütern war unterdessen von Florida aufgebrochen und war ebenfalls auf Kurs nach Haiti zum Ground Zero. Keiner von uns wusste was uns erwarten würde und wie schlimm die Situation vor Ort tatsächlich war, aber wir waren überzeugt, das wir etwas bewirken konnten.
Im nächsten Beitrag geht es dann weiter mit unserer Reise ins ungewisse und dem Unterschied von einem Begrüßungs- und einem Voodooritual.




Ich freue mich sehr über eure Entscheidung und denke, ihr und eure Abenteuer seid eine phantastische Bereicherung für die etwas geschrumpfte deutschsprachige Community!
Ich habe die Geschichte schon auf Englisch gelesen, fühle mich nun aber deutlich motivierter, euch zu eurem selbstlosen Einsatz in Haiti zu gratulieren. Sicher war die Enttäuschung groß, als immer mehr Crews von dem Hilfsvorhaben absprangen. Größer dann aber bestimmt die Freude und der Stolz, auch alleine Leben retten zu können. Sehr beeindruckend!
Wird es Aufklärung im Geheimnis Joanna/Astrid geben?! ;-)
Liebe Grüße,
Chriddi
Hallo @chriddi und vielen Dank für deinen lieben Kommentar. Mit uns habt ihr zumindest wieder ein Paar Meer ;-) also nicht mehr ganz so schwindend. Du hast gut aufgepasst, im Artikel ist von Astrid die Rede während sie allgemein als Joanna bekannt ist. Ihr bürgerlicher Name ist Astrid Johanna. Aus irgendeinem Grund kamen im englischen Rau noch nichtmal die Behörden mit dem scheinbar schwer zu sprechenden Astrid klar. Sie wurde sehr oft gefragt ob es für sie okay währe wenn sie mit Ms Joanna angesprochen würde. Der Nachname wäre noch viel komplizierter gewesen. Die Schreibweise ohne h kam weil selbst in den Bording Papieren vom Zoll, trotz Reisepass, Joanna regelmässig so geschrieben wurde. Wir möchten ja niemandem aufzwingen wer wir zu sein haben. Die Mehrheit hatte sich quasi auf Joanna geeinigt. Das geht natürlich nicht in der Schweiz oder in Deutschland, aber da wollten wir ja auch gar nicht hin.
Hihi, danke für die ausführliche Erklärung. Ähnliches habe ich mir fast gedacht... ;-)
Weiter ordentlich Wasser unterm Kiel!
Bin ganz begeistert von eurem Blog. Toll dass ihr wirklich Leben retten konntet. Das ist auch immer die ernsten so hart treffen muss Haiti ist ja so schon so arm und auch in der letzten Zeit immer wieder schwer getroffen worden.
Liebe Grüße Michael
Vielen lieben Dank Michael, Haiti hatte ohne Zweifel bereits genug durchgemacht. So hart es ist, aber Mutter Natur ist das ziemlich egal. Sie macht einfach ihr Ding so wie sie es getan hat schon lange vor dem wir überhaupt hier waren. Wir versuchen in den weiteren Beiträgen etwas mehr Fokus auf Land und Leute zu richten und nicht so sehr auf die eigentliche Katastrophe. Haiti hat uns sehr postiv überrascht... manchmal waren wir auch einfach nur überrascht, aber es lebt auf jeden Fall ein sehr spezielles Volk dort.
Ich bin mal in der Dominikanischen Republik zwischengelandet auf dem Weg nach Jamaika. Hatte drei Wochen Urlaub da gemacht. Meine Frau hat Vorfahren der Papa ist Rastafari. Den haben wir dann natürlich auch besucht und Urlaub in Negril und in San Antonio gemacht.Bin ganz begeistert von Jamaika.
LG Michael
Hi @ bambamaru2020. you're on our Curation List for 500SP Minnowsupport Program.
Please remember to support others in the Newcomers Community by commenting and upvoting their post. Thank you.
You have been upvoted by @rex-sumon, Steem Greeters from STEEM POD Project and we are voting with the Steemit Community Curator @steemcurator03 account to support the newcomers coming into steemit and for curating 500SP Minnowsupport Program 500SP Minnowsupport Program
Follow @steemitblog for the latest update on Steem Community.
Check out the on going contest that happening on Steemit Community right now here Ongoing Contest on Steemit
@rex-sumon Thanks a lot - I will go and check other newcomers post.
Ein toller Bericht. So sah das ganze übrigens damals aus dem All aus - rund zwei Tage vor dem Landfall...
https://indextrader24.blogspot.com/2016/10/iss-uberfliegt-hurrikan-matthew.html
Danke @janasilver das sieht schon beeindruckend aus. Wir wären damals auch lieber da oben gewesen... hatten ganz schön die Hosen voll.
Hi,
Your post has been voted on by the Ecosynthesizer curation team.
Thank you for your contribution to the Steem ecosystem.
If you would like to support us, please consider voting for our witness, setting us as a proxy,
joining our Discord server, and delegating to the project by using one of the following links:
500SP | 1000SP | 2000SP | 3000SP | 4000SP | 5000SP | 10000SP | 100000SP
Thanks a lot.
Ha super noch ein Segler ihr seid nicht die einzigen hier ;)
Steem on und weiter viel Erfolg...
Du hast ein kleines Upvote vom German-Steem-Bootcamp erhalten.
Du findest uns im Discord unter https://discord.gg/HVh2X9B
Aktueller Kurator ist @don-thomas
Du möchtest keine Upvotes (mehr) von uns erhalten? Eine kurze Mittelung unter diesen Kommentar reicht.
Hier kannst du sehen wer uns bereits unterstützt und erfahren wie auch du uns und somit die deutschsprachige Community unterstützen kannst.
Vielen Dank, uns war bewusst, das wir nicht die ersten sind. Einer der deutschen Segler hat uns schliesslich hier her geführt. Wirklich tolle Leute hier in der Community.